Die östlich der Stadt Osterwieck gelegene Ortschaft Deersheim bietet mit seinem Wohngebiet „Tiefes Feld“ eine attraktive Lage, welche ein abgeschiedenes Wohnen, umgeben von Wald und Feldern, und zugleich eine überregionale Ortsanbindung an die umliegenden Städte und Fernstraßen bietet.
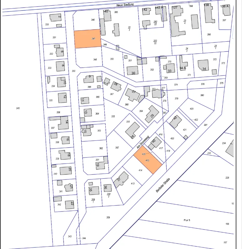
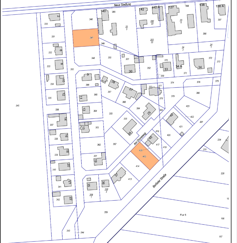
verfügbare Flächen im Wohngebiet
Für die Grundstücksflächen ist mit dem Bebauungsplan „Tiefes Feld“ folgendes Baurecht vorhanden:
eine zulässige abweichende Bauweise für Haus-gruppen über 50 m; mit einer Grundflächenzahl von 0,4; bei einer Geschossflächenzahl von 0,7; für 2 Vollgeschosse.
Auf diesen Grundstücken können Einzelhäuser und Doppelhäuser oder Hausgruppen errichtet werden. Die Länge der Gebäude darf fünfzig Meter übersteigen. Vierzig Prozent der Grundstücksfläche darf mit baulichen Anlagen überdeckt werden. Für diese Häuser sind ein Geschoss sowie zwei Geschosse zulässig. Demnach darf maximal über drei Etagen gebaut werden und die obere Etage des Wohnhauses über zwei drittel der Grundfläche eine lichte Höhe von 2,29 m nicht überschreiten. Insgesamt dürfen die Geschossflächen siebzig Prozent der überbaubaren Grundstücksfläche betragen.
Für die mit a) gekennzeichneten Grundstücks-flächen ist mit dem Bebauungsplan „Tiefes Feld“ folgendes Baurecht vorhanden:
ein allgemeines Wohngebiet, für eine offene Bauweise; mit einer Grundflächenzahl von 0,4; bei einer Geschossflächenzahl von 0,4; für 1 Vollgeschoss.
Demnach können Einzelhäuser, Doppelhäuser oder Hausgruppen errichtet werden. Die Länge der Gebäude darf fünfzig Meter nicht übersteigen. Vierzig Prozent der Grundstücksfläche darf mit baulichen Anlagen überbaut werden. Für diese Häuser ist nur ein Geschoss zulässig. Demnach darf maximal über zwei Etagen gebaut werden und die obere Etage des Wohnhauses über zwei drittel der Grundfläche eine lichte Höhe von 2,29 m nicht überschreiten. Insgesamt darf die Geschossfläche vierzig Prozent der überbaubaren Grundstücksfläche betragen.

Die Wohngrundstücke sind verkehrlich und versorgungstechnisch erschlossen. Ein Hausanachluss ist erforderlich. Der Grundstückspreis beträgt 40 € / m².
Ansprechpartner:


